Terreno no centro com área de 451,20m²

Arabutã, SC R$ 102.000,00

-15% R$ 120.000,00

  • 4 6:
  • 1 2:
  • 3 0:
  • 0 0
  • 4 6:
  • 1 2:
  • 3 0:
  • 0 0
Aberto
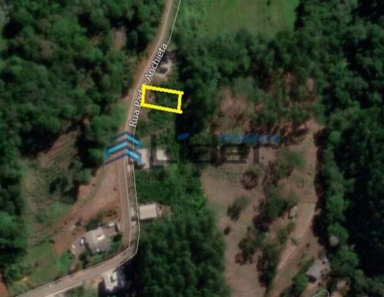
<p><strong><u>Imóvel registrado na matrícula n° 19.573  do Ofício de registro de imóveis da comarca de Seara/SC: IDENTIFICAÇÃO DO IMÓVEL: </u></strong>Lote urbano n° 03, do "Desmembramento Testa", com a área de 451,20m², com forma retangular de 14,10 x 32,00 metros, sito no lado ímpar da Rua Antônio Molozzi, Centro, nesta Cidade e Comarca: confrontando: frente ao Noroeste, na extensão de 14,10 metros, para Rua Antônio Molozzi; fundos ao Sudeste, extensão de 14,10 metros, com parte da chácara urbana nº 01, deste desmembramento; a lateral direita ao Nordeste, na extensão de 32,00 metros, com o lote urbano n° 02, deste desmembramento; e a lateral esquerda ao sudoeste na extensão de 32,00 metros com o lote urbano n° 04, deste desmembramento. Ônus: não há.   <strong>Lance mínimo para venda R$ 102.000,00 (Cento e dois mil reais).</strong></p>
.
Comitente
Comarca COOPERATIVA DE CRÉDITO RURAL SEARA - CREDISEARA
Cidade Arabutã - SC
Lote 014
Tipo
Local
Endereço Rua Antônio Molozzi, Centro, Seara/SC
Matrícula Processo:
Processo
Exequente
Comitente
Executado
Rua Antônio Molozzi, Centro, Seara/SC
Arabutã/SC

Veja Mais

Outras portunidades em: Arabutã - SC